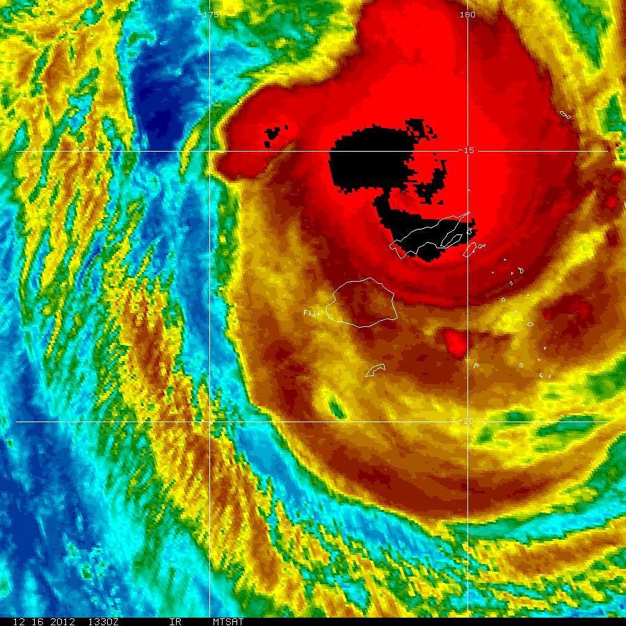
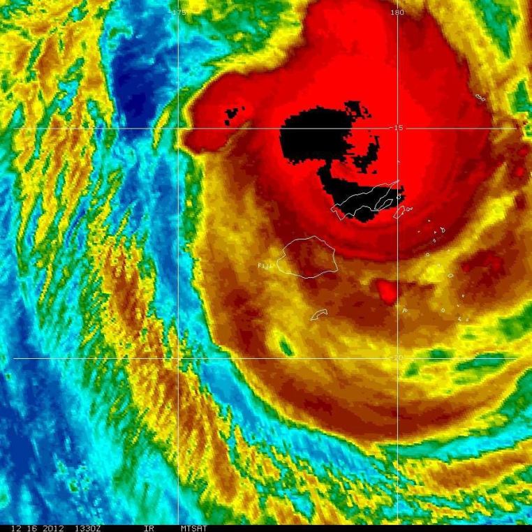
Cyclone EVAN Latest Track forecast Update 17 Monday Dec 2012 Original size at 900 × 900 ≈ Leave a comment